X-radiograph(s) of "Self-Portrait" by Artist of original: Rembrandt Harmensz. van Rijn

X-radiograph(s) of "Self-Portrait" 

0:00
0:00

Copyright: CC0 1.0

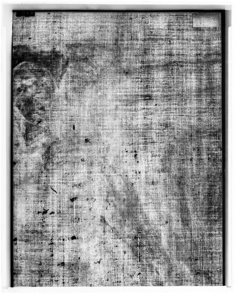
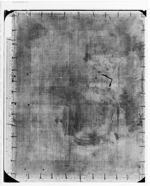
Curator: Here we have an X-radiograph of Rembrandt van Rijn's "Self-Portrait," housed here at the Harvard Art Museums. The process reveals so much about the making of the piece. Editor: It's spectral, almost ghostly. The symbols we usually associate with Rembrandt are muted. It's a raw, internal view. Curator: Precisely. The layers of paint, the underpainting, the canvas itself—we can trace the physical act of creation. Consider the materiality, the labor involved in grinding pigments. Editor: And the face itself, stripped of its usual chiaroscuro, becomes a universal symbol of aging, mortality. It speaks to the human condition. Curator: Indeed. It's a fascinating look at how materials and techniques intersect with the artist's intent, pushing us to reconsider the boundaries between art and science. Editor: This glimpse beneath the surface allows us to meditate on the enduring power of images, even when presented in such a stark, unconventional way. Curator: Absolutely. It is an insight into the tangible history of the artwork. Editor: Yes, this X-ray reveals how images resonate across time.

Show more

Comments

No comments

Be the first to comment and join the conversation on the ultimate creative platform.