X-radiograph(s) of "Portrait of an Admiral (?)" by Artist of original: Ferdinand Bol

X-radiograph(s) of "Portrait of an Admiral (?)" 

Copyright: CC0 1.0

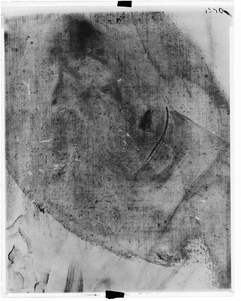
Editor: This is an X-radiograph of Ferdinand Bol’s "Portrait of an Admiral(?)," held at the Harvard Art Museums. It's a ghostly, almost unsettling view of the painting beneath the surface. What secrets do you think this radiography reveals, beyond just the brushstrokes? Curator: It's like peering into the soul of the painting, isn't it? Forget what's visible; this unveils the artist's process, their hesitations, pentimenti. The heavy lead-based whites reveal the initial bold strokes, changes in composition… it’s like archaeology in monochrome. Does it change how you see the finished portrait? Editor: Absolutely! It feels like uncovering a hidden narrative, a dialogue between the artist and the canvas. I wonder if Bol ever imagined someone peering into his work this way, centuries later! Curator: Probably not! And that’s the delightful audacity of art – it keeps whispering secrets across time, waiting for fresh ears to listen. Maybe that's the real portrait, the unseen struggle beneath the surface.

Show more

Comments

No comments

Be the first to comment and join the conversation on the ultimate creative platform.