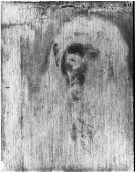
X-radiograph(s) of "Madonna and Child" by Artist of original: Domenico Beccafumi

X-radiograph(s) of "Madonna and Child" 

Dimensions: film size: 35.6 x 43.2 cm (14 x 17 in.)

Copyright: CC0 1.0

Curator: This is an X-radiograph of "Madonna and Child," after Domenico Beccafumi, currently residing in the Harvard Art Museums. It's a fascinating piece that invites a different perspective on a classic theme. Editor: Ghostly. It looks like a shroud more than a painting, the textures emerging from the darkness. What kind of information can we glean from this? Curator: Radiography reveals so much about artistic process and materials. This one allows us to consider the painting’s evolution, the materials used, and perhaps even the artist’s techniques. Editor: I find myself focusing on the underpainting, the structure beneath the surface. It reminds us that artworks are constructed, they are not just images, but layered objects made with labor. Curator: And what about the religious implications? Seeing it almost deconstructed challenges our notions of the Madonna and Child as ideals, revealing the humanity in the making. Editor: A very insightful point. Seeing it this way does demystify the image and makes you consider what goes into the making of it. Curator: Precisely, it invites us to look beyond the surface, beyond the traditional interpretation. Editor: A peek under the hood; certainly a revealing look at the object's construction and history.

Show more

Comments

No comments

Be the first to comment and join the conversation on the ultimate creative platform.