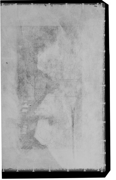
X-radiograph(s) of "Portrait of a Girl" by Artist of original: George Romney

X-radiograph(s) of "Portrait of a Girl" 

0:00
0:00

Copyright: CC0 1.0

Curator: Here we have an X-radiograph of "Portrait of a Girl" by George Romney, housed here at the Harvard Art Museums. Editor: My first thought? It's like seeing a ghost, a hidden face peering through layers of time and art. Curator: Indeed. The X-ray reveals the underpainting, the artist's initial approach, the subtle adjustments made beneath the surface, like an archeological dig into the artist's process. Editor: It's a reminder that every finished piece has a history, a buried narrative. You know, it's like our memories, layered and sometimes obscured. Curator: Very much so. It speaks to the evolving nature of creation, the pentimenti that reveal the artist's hand and choices. Editor: It makes you think about what's unseen, what's hidden, what stories are beneath the surface of everything. A rather haunting beauty. Curator: A technical analysis that resonates with the deepest layers of artistic expression. Editor: Definitely, it's given me a new perspective for sure!

Show more

Comments

No comments

Be the first to comment and join the conversation on the ultimate creative platform.