X-radiograph(s) of "Madonna and Child" by Artist of original: Anthony van Dyck

X-radiograph(s) of "Madonna and Child" 

0:00
0:00

Copyright: CC0 1.0

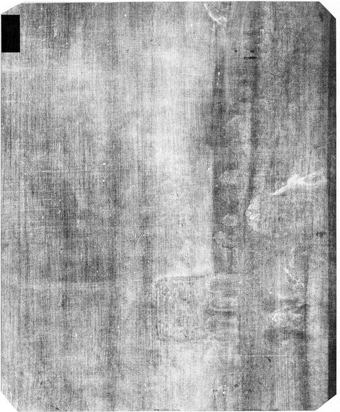
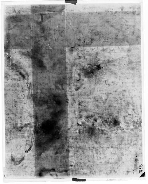
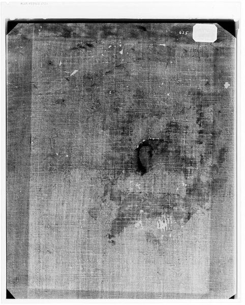
Editor: So this is an X-radiograph of "Madonna and Child" after Anthony van Dyck. It's fascinating to see the work stripped down to its material components like this. What can we learn from this image that we might miss from viewing the final painting? Curator: This x-radiograph foregrounds the materiality of art making. We see the canvas weave so clearly. Consider the labor involved in preparing that canvas, stretching it, priming it. How does this shift your perception of van Dyck's "Madonna and Child"? Editor: It makes me think about the economic systems at play. Who owned the canvas? Who prepared it? This wasn't just divinely inspired creation, but labor and materials. Curator: Precisely. We often divorce art from its means of production. The x-ray reveals the constructed nature of what we perceive as seamless artistic genius. It is all very materially driven. Editor: That’s a good reminder to look beyond the surface, literally and figuratively. Curator: Indeed, it reveals the unseen framework of artistic production.

Show more

Comments

No comments

Be the first to comment and join the conversation on the ultimate creative platform.