X-radiograph(s) of "Old Man with a Stick" by Artist of original: Rembrandt Harmensz. van Rijn

X-radiograph(s) of "Old Man with a Stick" 

0:00
0:00

Copyright: CC0 1.0

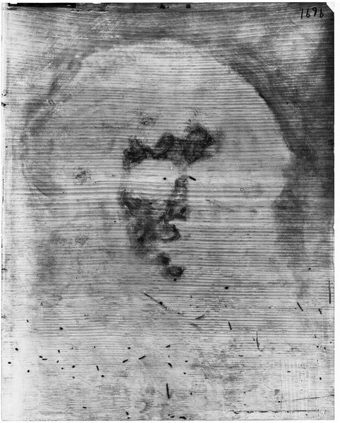
Curator: This is an X-radiograph of "Old Man with a Stick," attributed to Rembrandt van Rijn, now held at the Harvard Art Museums. It's fascinating to see what lies beneath the surface. Editor: Immediately, I see a ghostly figure emerging from the wood grain. The expression seems weary, burdened even. Curator: X-radiography allows us to see the artist's process, revisions, and underlying layers. It gives insight into Rembrandt's methods and perhaps challenges some established notions. Editor: The hand gripping the stick... that symbolizes resilience, perhaps a reliance on something external for support and guidance, a common trope for aging. Curator: Examining the social context, Rembrandt often portrayed elders with dignity, challenging conventional representations. The use of x-rays today continues this democratization by revealing a new layer of depth. Editor: Indeed, the skeletal nature of this image amplifies that fragility. It's a potent symbol of mortality, stripped bare of color and flesh. Curator: This technical image provides another layer of historical insight, showing a scientific perspective on art production and meaning. Editor: Seeing it this way changes our understanding; it's not just a portrait but an exploration of time and being. Curator: Precisely, each viewing enriches not just art history but its cultural position. Editor: Ultimately, that's what lingers—its effect on our perception of visual vocabulary and our human condition.

Show more

Comments

No comments

Be the first to comment and join the conversation on the ultimate creative platform.