X-radiograph(s) of "Christ in the Garden" by Artist of original: Giovanni Bellini

X-radiograph(s) of "Christ in the Garden" 

0:00
0:00

Copyright: CC0 1.0

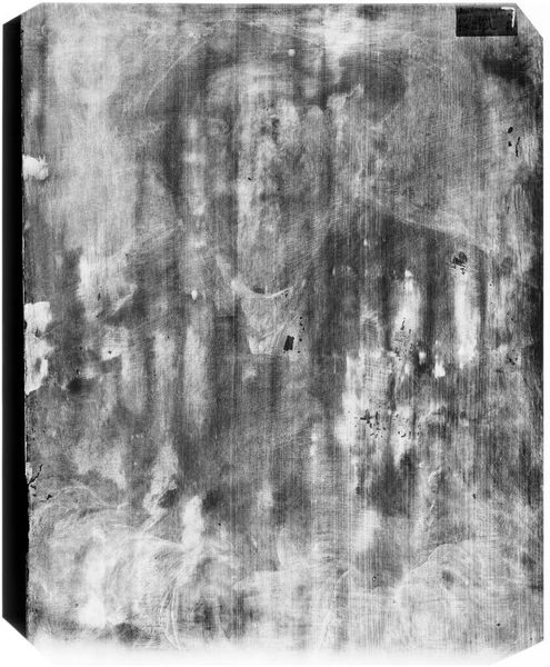
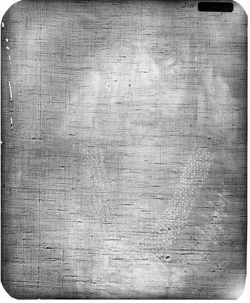
Curator: This is an X-radiograph of "Christ in the Garden" by Giovanni Bellini. It’s currently held in the collection of the Harvard Art Museums. Editor: Striking! The monochrome palette casts an eerie pallor, really drawing attention to the stark vulnerability of the figure. Curator: Indeed, the X-ray unveils hidden layers beneath the surface. It encourages us to look beyond the traditional interpretation of religious iconography. Editor: More than iconography, I see a study of power, faith, and human fallibility laid bare. We see this figure, ostensibly divine, reduced to material—to bone and pigment. It humanizes him. Curator: The composition offers an interesting contrast between light and shadow, underscoring the drama inherent in Bellini's original work. The lines and forms become simplified, almost abstract. Editor: Absolutely. By stripping away the color, this x-ray actually emphasizes the inherent struggles conveyed within the painting and invites reflections on the socio-political implications of faith and doubt. Curator: A fascinating perspective. It’s intriguing how a technical analysis can yield such aesthetic and interpretive insights. Editor: It compels us to consider the complex layers of history, faith, and human experience embedded within a single image.

Show more

Comments

No comments

Be the first to comment and join the conversation on the ultimate creative platform.