X-radiograph(s) of "Francois I" by Artist of original: Joos van Cleve

X-radiograph(s) of "Francois I" 

0:00
0:00

Copyright: CC0 1.0

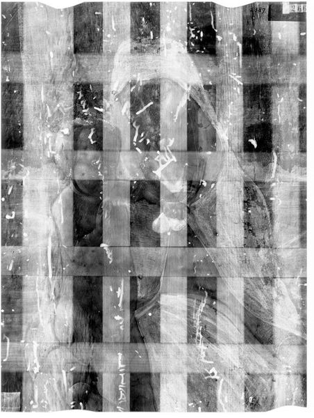
Editor: This is an x-radiograph of "Francois I" after Joos van Cleve, residing at the Harvard Art Museums. It’s so unusual, almost like a ghostly grid obscuring a portrait. What's your read on this piece? Curator: Well, it's an x-ray, a peek beneath the surface, literally! I imagine the artist puzzling over brushstrokes, the secrets of the Old Masters revealed in glowing shades. Does it make you think differently about the original portrait? Editor: Definitely. It feels like a deconstruction, showing the anatomy of a painting. Curator: Precisely! It reminds us that art is never just what meets the eye; there’s a whole hidden world supporting every image. Editor: I hadn't thought of it that way, it's fascinating!

Show more

Comments

No comments

Be the first to comment and join the conversation on the ultimate creative platform.