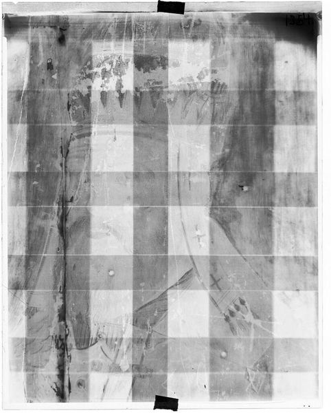
X-radiograph(s) of "Madonna and Child" by Artist of original: Gentile da Fabriano

X-radiograph(s) of "Madonna and Child" 

0:00
0:00

Dimensions: film size: 14 x 17

Copyright: CC0 1.0

Editor: This is an x-radiograph of "Madonna and Child," originally by Gentile da Fabriano. It’s strange to see a painting like this, almost ghostly. What secrets does this reveal? Curator: Ah, it's like peering into the soul of the artwork, isn't it? The x-ray unveils the artist's process, the layers beneath what we normally see. Do you notice anything peculiar about the child's head, for example? Editor: It's almost like there was something else there before… maybe a different composition? Curator: Precisely! Perhaps the artist shifted the position or even completely changed the figure. It’s art’s little ghost story, a glimpse into the artist’s journey. Editor: I never thought about art history having its own kind of archaeology. Curator: Every layer tells a tale. It’s why I find these so exciting.

Show more

Comments

No comments

Be the first to comment and join the conversation on the ultimate creative platform.