X-radiograph(s) of "The Agony in the Garden" by Artist of original: Raphael

X-radiograph(s) of "The Agony in the Garden" 

0:00
0:00

Dimensions: film size: 14 x 17

Copyright: CC0 1.0

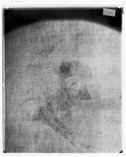
Curator: Here, we have an X-radiograph of "The Agony in the Garden" by an artist in the style of Raphael, from the Harvard Art Museums, its film measuring 14 by 17 inches. Editor: Whoa, spectral! It's like peeling back layers of time, seeing the ghost of an image. You can sense the turmoil, but filtered through this strange scientific lens. Curator: Indeed. X-radiography allows us to analyze the artist's process – the underdrawing, pigment distribution, and any alterations made. The production of it! Editor: So, it's not just about Raphael's original agony, but also the agony and labor of artmaking itself? The hidden decisions, the "oops" moments buried beneath the surface? Curator: Precisely. It challenges the idea of the flawless masterpiece. We see the materiality and the hand, the work and production. Editor: Makes you wonder about all the unseen layers in everything, doesn't it? Alright, I'm signing off with a newfound respect for X-rays and artistic vulnerability.

Show more

Comments

No comments

Be the first to comment and join the conversation on the ultimate creative platform.