About this artwork
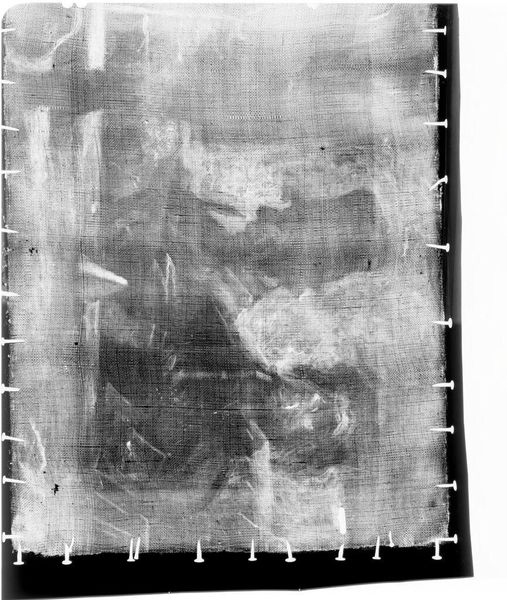
Editor: This is an X-radiograph of Giovanni Battista Tiepolo’s "Christ at Emmaus". The stark contrast between light and shadow is fascinating. What formal elements stand out to you? Curator: Observe the layered composition. The radiography reveals not only the final painted surface, but also the artist's process. Note the distribution of density, signifying the presence and concentration of pigment. Editor: So the areas of high density indicate where Tiepolo applied more paint? Curator: Precisely. Consider how this layering and density contribute to the overall structure and form. The artist's hand is present not only on the surface, but also within the depths of the painting. Editor: It's like a glimpse into the artistic process itself. Thanks, that’s insightful. Curator: Indeed. It encourages a deeper appreciation of Tiepolo’s technique and his understanding of light and form.
X-radiograph(s) of "Christ at Emmaus"
Artwork details
- Location
- Harvard Art Museums
- Copyright
- CC0 1.0
Comments
No comments
About this artwork
Editor: This is an X-radiograph of Giovanni Battista Tiepolo’s "Christ at Emmaus". The stark contrast between light and shadow is fascinating. What formal elements stand out to you? Curator: Observe the layered composition. The radiography reveals not only the final painted surface, but also the artist's process. Note the distribution of density, signifying the presence and concentration of pigment. Editor: So the areas of high density indicate where Tiepolo applied more paint? Curator: Precisely. Consider how this layering and density contribute to the overall structure and form. The artist's hand is present not only on the surface, but also within the depths of the painting. Editor: It's like a glimpse into the artistic process itself. Thanks, that’s insightful. Curator: Indeed. It encourages a deeper appreciation of Tiepolo’s technique and his understanding of light and form.
Comments
No comments