X-radiograph(s) of "Drunken Quarrel" by Artist of original: Andries Both

X-radiograph(s) of "Drunken Quarrel" 

Copyright: CC0 1.0

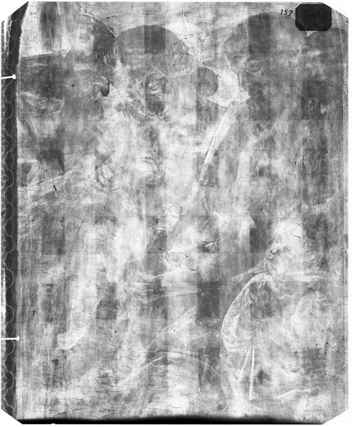
Curator: Here we have an X-radiograph of "Drunken Quarrel," originally by Andries Both, housed at the Harvard Art Museums. It’s an unusual glimpse beneath the surface, isn't it? Editor: Immediately I’m struck by the ghostly quality. It’s like seeing the skeletal remains of a composition, the bare bones of the artist’s intent laid bare. Curator: Indeed. X-rays reveal so much. For example, the symbolism once hidden is now exposed, perhaps layers of meaning the artist consciously or unconsciously embedded. Editor: It highlights the material density, or lack thereof. Look how certain areas absorb more radiation than others, revealing the build-up of pigment. Curator: Absolutely. Consider the cultural implications as well; this image is a cultural artifact that connects us to past times and attitudes about public disorder. Editor: And how the technology itself shapes our understanding. This radiograph wasn't possible until the late 19th century, forever changing how we perceive and study art. Curator: It opens our minds to new avenues of exploration. Editor: Absolutely, a fascinating peek behind the curtain, or in this case, the canvas.

Show more

Comments

No comments

Be the first to comment and join the conversation on the ultimate creative platform.