X-radiograph(s) of "Ecce Homo" by Artist of original: Follower of Jacopo Bassano the Elder

Copyright: CC0 1.0

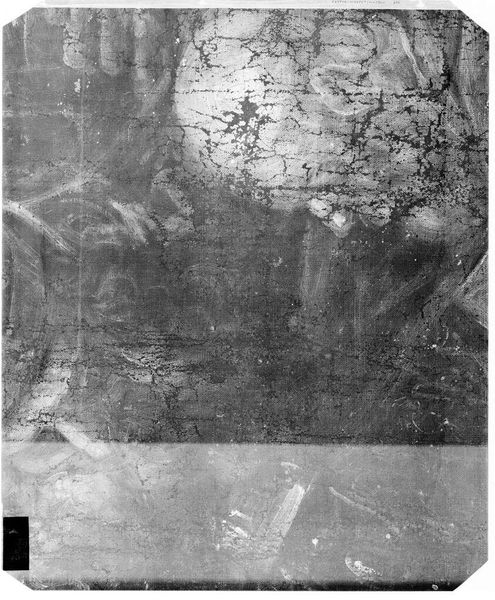
Editor: So, this is an X-radiograph of "Ecce Homo", by a follower of Jacopo Bassano the Elder, housed at the Harvard Art Museums. It feels almost ghostly, a peek behind the curtain. What secrets do you think this X-ray reveals? Curator: It's a bit like archaeology, isn't it? We see the artist's process, the underpainting, corrections… Maybe a pentimento or two, a change of heart immortalized in lead white. It whispers of the creative struggle, the hidden layers beneath the surface. What do *you* think it tells us about the artist? Editor: That they weren't afraid to experiment, maybe? It definitely makes me appreciate the finished piece even more, knowing the journey it took.

Show more

Comments

No comments

Be the first to comment and join the conversation on the ultimate creative platform.