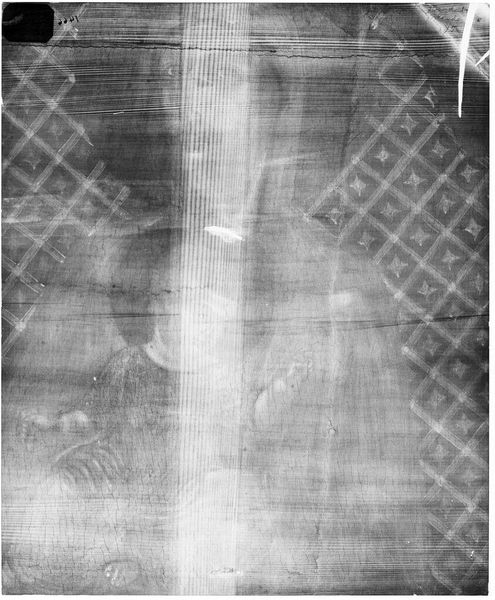
X-radiograph(s) of "Coming Storm" by Artist of original: George Inness

X-radiograph(s) of "Coming Storm" 

0:00
0:00

Copyright: CC0 1.0

Editor: This is an x-radiograph of "Coming Storm" by George Inness. It's a ghostly image, like looking at the bones of a painting. What does this reveal to you? Curator: It's interesting, isn't it? An x-ray peels back the layers, exposing the artist's process. You see the armature, the scaffolding upon which Inness built his atmospheric landscape. It makes you wonder about the hidden labor behind even the most seemingly effortless art, doesn’t it? Editor: That’s a great point! So, it exposes the initial layers and hidden details. Curator: Precisely! It's a peek behind the curtain, offering a raw, almost voyeuristic glimpse into the creative act. Makes you appreciate the finished piece even more, doesn't it? Editor: Definitely! Now I understand the hidden complexity in the image.

Show more

Comments

No comments

Be the first to comment and join the conversation on the ultimate creative platform.