X-radiograph(s) of "Crucifixion with Three Saints on reverse" by Artist of original: (?) Lorenzo d'Alessandro da San Severino

X-radiograph(s) of "Crucifixion with Three Saints on reverse" 

0:00
0:00

Copyright: CC0 1.0

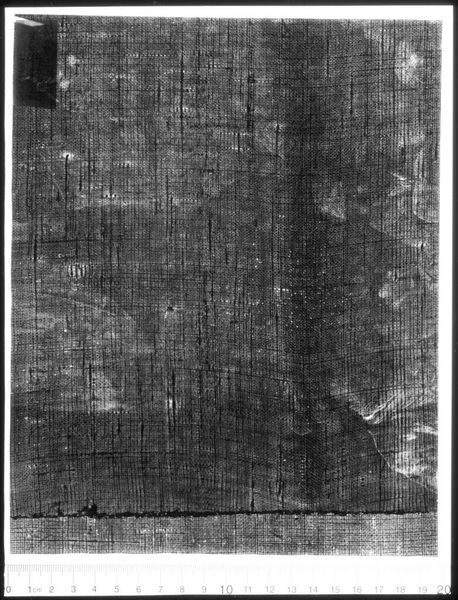
Curator: This is an X-radiograph of "Crucifixion with Three Saints on reverse", possibly by Lorenzo d'Alessandro da San Severino. Editor: Initially, it evokes a sense of hidden history, like looking beneath the surface of time itself to reveal an unseen foundation. Curator: Absolutely. This X-ray provides a critical lens, allowing us to explore the artist's process and the underlying structure of the work. What stories are embedded within this cultural object, and how does its construction tie into socio-historical contexts? Editor: I am most interested in the materials themselves, the layering, the density revealed by the X-ray, and how it speaks to the labor involved in its creation. Curator: It is a reminder of the power dynamics often embedded in art production, revealing both individual artistry and the social conditions in which it was conceived. Editor: Indeed, this process of analysis gives new meaning to art history, doesn't it? Curator: It does; I find these insights incredibly valuable.

Show more

Comments

No comments

Be the first to comment and join the conversation on the ultimate creative platform.