X-radiograph(s) of "Woman in a Landscape" by Anonymous

X-radiograph(s) of "Woman in a Landscape" 

0:00
0:00

Copyright: CC0 1.0

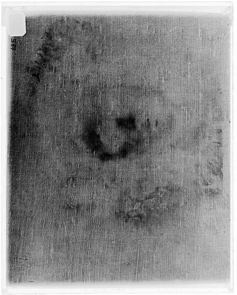
Editor: This is an X-radiograph of "Woman in a Landscape" by an anonymous artist, held at the Harvard Art Museums. The image reveals the texture of the canvas. What can we learn about the production process from this? Curator: The X-radiograph exposes the material support, highlighting the canvas’s weave. We can analyze the textile production – its origin, the labor involved in its preparation, and how its cost might have influenced the artist’s choices. Consider also how this disrupts traditional art historical focus, shifting from the artist’s hand to the unseen, foundational elements of the work. Editor: So, the canvas itself becomes a key subject, revealing socio-economic contexts? Curator: Precisely. It prompts us to think about the art world's broader material culture. Editor: I hadn't considered that. Thanks for the insight!

Show more

Comments

No comments

Be the first to comment and join the conversation on the ultimate creative platform.