About this artwork
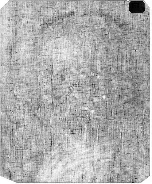
Curator: This X-radiograph, taken of John Durand's portrait "Benjamin Carpenter," reveals the material layers beneath the surface. It's fascinating to see how the artist built up the image. Editor: Initially, I see a ghostly figure emerging from a textured background. The subtle gradations create a sense of depth, despite the monochromatic palette. Curator: Precisely, the X-ray reveals the canvas weave itself, the underpainting, and the lead white pigments used to define Carpenter's features, reflecting the labor involved in creating the portrait. Editor: Note how the denser areas highlight the subject’s face and torso, pulling the eye to these focal points through a stark contrast with the surrounding haziness. Curator: Considering Durand's social standing as a portraitist, this radiography gives us insight into the production of status and identity in colonial America. Editor: The image’s ethereal quality provokes thoughts about visibility, both literally and metaphorically. It's a powerful image.
X-radiograph(s) of "Benjamin Carpenter"
Artwork details
- Location
- Harvard Art Museums
- Copyright
- CC0 1.0
Comments
Be the first to share your thoughts about this work.
About this artwork
Curator: This X-radiograph, taken of John Durand's portrait "Benjamin Carpenter," reveals the material layers beneath the surface. It's fascinating to see how the artist built up the image. Editor: Initially, I see a ghostly figure emerging from a textured background. The subtle gradations create a sense of depth, despite the monochromatic palette. Curator: Precisely, the X-ray reveals the canvas weave itself, the underpainting, and the lead white pigments used to define Carpenter's features, reflecting the labor involved in creating the portrait. Editor: Note how the denser areas highlight the subject’s face and torso, pulling the eye to these focal points through a stark contrast with the surrounding haziness. Curator: Considering Durand's social standing as a portraitist, this radiography gives us insight into the production of status and identity in colonial America. Editor: The image’s ethereal quality provokes thoughts about visibility, both literally and metaphorically. It's a powerful image.
Comments
Be the first to share your thoughts about this work.