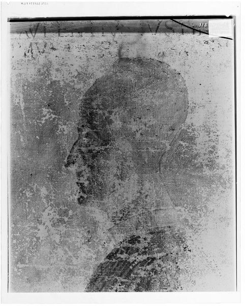
X-radiograph(s) of "Rev. Samuel Haven" by Artist of original: School of(?) Samuel King

X-radiograph(s) of "Rev. Samuel Haven" 

0:00
0:00

Copyright: CC0 1.0

Editor: This is an X-radiograph of a portrait of Reverend Samuel Haven, by an artist from the School of Samuel King. It’s fascinating to see the inner structure revealed. How do you interpret this radiological gaze into the Reverend's portrait? Curator: It’s compelling how the X-ray exposes what is usually hidden, both in the artistic process and perhaps metaphorically, in the subject's persona. What does it mean to dissect a portrait of a religious figure in this way, stripping it down to its material composition and exposing the layers beneath? Is this a commentary on power structures? Editor: That's a great point, I hadn't considered the power dynamics. Curator: It invites us to question what we consider valuable about portraiture, and who gets to be seen, and how. Ultimately, this piece prompts us to think critically about representation and authority. Editor: I definitely learned a lot about looking at art today. Thanks!

Show more

Comments

No comments

Be the first to comment and join the conversation on the ultimate creative platform.