About this artwork
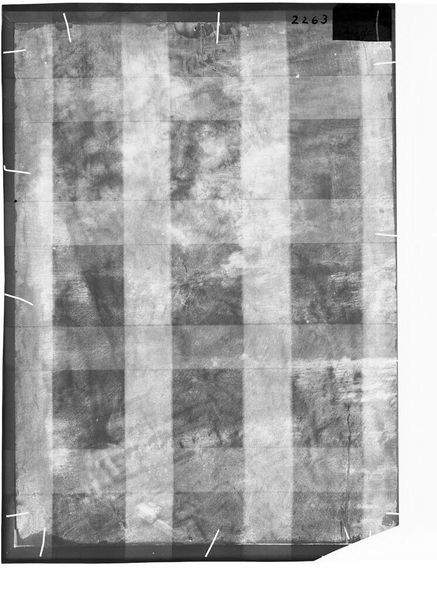
Curator: Here we have an X-radiograph of "Village Wedding" by the artist of the original, Pieter Brueghel the Younger, held at the Harvard Art Museums. Editor: It appears almost as a ghostly, fragmented grid, simultaneously revealing and obscuring what lies beneath. Curator: Indeed. X-radiography allows us to peer beneath the surface, revealing hidden layers of artistic creation. It speaks to the artist's process but also the cultural moment of art examination, and the biases that surround "authenticity". Editor: The stark contrast highlights the density of the materials, allowing us to decode the composition and structure of the painting in ways traditional observation cannot. We also see the canvas texture, and the paint application. Curator: Absolutely. This perspective challenges our understanding of authorship and materiality, inviting questions about ownership, labor, and the art market's role in shaping value. Editor: It's fascinating how this scientific perspective offers a unique lens to understand not just the art, but also the socio-economic factors influencing the art world itself. Curator: Precisely. It really pushes us to reflect on how we assign meaning.
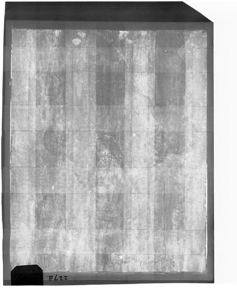
X-radiograph(s) of "Village Wedding"
Artwork details
- Location
- Harvard Art Museums
- Copyright
- CC0 1.0
Comments
No comments
About this artwork
Curator: Here we have an X-radiograph of "Village Wedding" by the artist of the original, Pieter Brueghel the Younger, held at the Harvard Art Museums. Editor: It appears almost as a ghostly, fragmented grid, simultaneously revealing and obscuring what lies beneath. Curator: Indeed. X-radiography allows us to peer beneath the surface, revealing hidden layers of artistic creation. It speaks to the artist's process but also the cultural moment of art examination, and the biases that surround "authenticity". Editor: The stark contrast highlights the density of the materials, allowing us to decode the composition and structure of the painting in ways traditional observation cannot. We also see the canvas texture, and the paint application. Curator: Absolutely. This perspective challenges our understanding of authorship and materiality, inviting questions about ownership, labor, and the art market's role in shaping value. Editor: It's fascinating how this scientific perspective offers a unique lens to understand not just the art, but also the socio-economic factors influencing the art world itself. Curator: Precisely. It really pushes us to reflect on how we assign meaning.
Comments
No comments