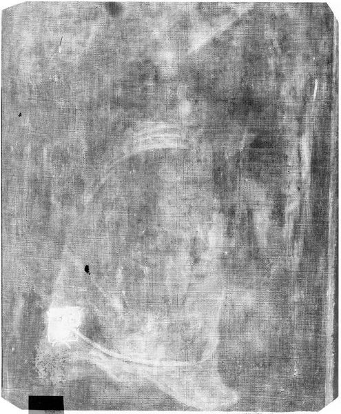
X-radiograph(s) of "Madonna and Child" by Artist of original: Type of Giovanni Bellini

X-radiograph(s) of "Madonna and Child" 

0:00
0:00

Copyright: CC0 1.0

Curator: Here we have an X-radiograph of "Madonna and Child," believed to be in the style of Giovanni Bellini. It offers a fascinating glimpse beneath the surface of a familiar subject. Editor: It’s ghostly, almost unsettling. You see the weave of the canvas so clearly – it makes me think about the hand that prepared it, the labor. Curator: Absolutely. X-radiography unveils the evolution of the composition, revealing the artist's process of layering and adjustment, and, in turn, the social and cultural expectations around the Madonna and Child imagery. Did the artist face any backlash in portraying motherhood in this way? Editor: And what about the pigments? How were they sourced, ground, and applied? The materiality dictates so much of the final image and the cost of production surely influenced the audience. Curator: Indeed. The image prompts us to question the conventional narratives surrounding the artwork, to look beneath the surface, both literally and figuratively. Editor: It's amazing what you can learn about an artwork when you examine what it's made of.

Show more

Comments

No comments

Be the first to comment and join the conversation on the ultimate creative platform.