X-radiograph(s) of "Cotton Mather (copy)" by Artist of original: Peter Pelham

X-radiograph(s) of "Cotton Mather (copy)" 

0:00
0:00

Dimensions: film size: 14 x 17

Copyright: CC0 1.0

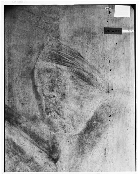
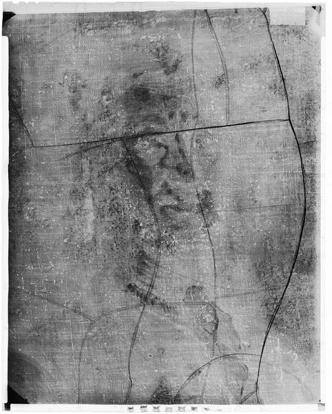
Curator: This is an X-radiograph of a copy of Peter Pelham's "Cotton Mather," housed here at the Harvard Art Museums. Editor: Immediately, the stark contrast and almost ghostly figure evoke a sense of hidden history and vulnerability. Curator: Indeed. The radiographic technique reveals the under layers, literally exposing the support and the pentimenti, the artist's alterations. Notice how the composition is bisected by these strong, diagonal lines. Editor: It feels like a visual metaphor. Mather, a towering figure in his time, is now rendered fragile, his image dissected. The X-ray strips away the imposed power, revealing the human beneath. Curator: Precisely. The materiality becomes the message. Editor: It's a potent reminder that even the most formidable figures are subject to time and scrutiny. There is an almost sacred quality to the revelation of hidden layers.

Show more

Comments

No comments

Be the first to comment and join the conversation on the ultimate creative platform.